依据《中华人民共和国城乡规划法》、《行政许可法》、《关于城乡规划公开公示的规定》等有关法律法规,特此公告,公告日期2022年4月28日--2022年5月27日,如有意见或建议,请在公示期内向我局以书面形式提出。
咨询电话:0374-5115109
经办科室:规划委员会秘书股
经办人:赵飞
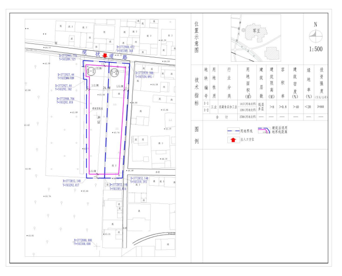
五女店镇军王村西、现状道路以南地块控制性详细规划
该地块规划用地性质为工业,1-1用地面积1417平方米、1-2用地面积1291平方米,建筑层数为低层、多层,建筑限高>8米,容积率>0.8,建筑密度>40%,绿地率<20%。
